表紙へ
園芸手帳TOP
バラがいっぱい
ア
カ
サ
タ
ナ
ハ
マ
ヤ
ラ
イ
キ
シ
チ
ニ
ヒ
ミ
ユ
リ
ウ
ク
ス
ツ
ヌ
フ
ム
ヨ
ル
エ
ケ
セ
テ
ネ
ヘ
メ
レ
オ
コ
ソ
ト
ノ
ホ
モ
ワ
ロ
科で検索
学名で検索
樹木の幹を見てみよう
花粉をいろいろ見てみよう
地衣類は面白い
虫や病気のこと
野菜や漢方として
植物園へ行こう!
追加・追記・更新
日本・世界のお花
アメリカ(ハワイ)
オーストラリア
中国(雲南省)
スリランカ
台湾
韓国
東京
山梨県
島根県
沖縄県
千葉県
京都府
神奈川県
静岡県
愛知県
高知県
虫篭
花見る人
-Flowerwatcher-
動画も配信中
マンサク
満作 マンサク科 Hamamelis japonica
性状:
落葉低木
自生地:
本州・関東以西〜九州
特徴など:
早春に咲く花木のひとつ。箱根では金時山に多く自生する。花が終わると葉が展葉してくる。マンサクで販売されているものは花の大きいシナマンサクが多い。(写真:国内)
(4月撮影:国内)
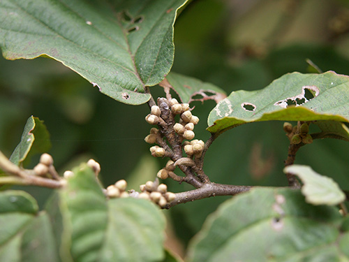
花芽はまだ固い。(1月撮影:国内)
(1月撮影:国内)
咲きはじめです。(2月撮影:国内)
(2月撮影:国内)
(3月撮影:国内)
他のサイトへリンクしています↓(購入したい方向け・時期により販売していない場合もあります)
マンサク 万作 満作 苗木 6号ポット 黄花 春一番に咲く花木 庭木 垣根
価格:2,600円(税込、送料別)
(2024/3/28時点)
楽天で購入
マンサクの園芸品種
’モリス・パリダ’(2月撮影:国内)
’モリス・パリダ’(2月撮影:国内)
’モリス・パリダ’(3月撮影:国内)
’モリス・パリダ’(3月撮影:国内)
’ルビー・グロー’(2月撮影:国内)
’ルビー・グロー’(2月撮影:国内)
’ルビー・グロー’(2月撮影:国内)
’ルビー・グロー’(3月撮影:国内)
’ルビー・グロー’(3月撮影:国内)
’ルビー・グロー’(3月撮影:国内)
’ダイアナ’(3月撮影:国内)
’ダイアナ’(3月撮影:国内)
’オレンジ・ビューティ’(3月撮影:国内)
オレンジ?
’オレンジ・ビューティ’(3月撮影:国内)
’オレンジ・ビューティ’(3月撮影:国内)
’オレンジ・ビューティ’(3月撮影:国内)
アテツマンサク
マンサク科 Hamamelis japonica var. bitchuensis
性状:
落葉低木
自生地:
本州・中国地方(阿哲地域など)、四国
特徴など:
かつての大陸の種の残存種が残っているといわれる阿哲地域に分布するマンサク。(写真:国内)
(4月撮影:国内)
(4月撮影:国内)
(4月撮影:国内)
(4月撮影:国内)
(4月撮影:国内)
(10月撮影:国内)
(10月撮影:国内)
(10月撮影:国内)
(10月撮影:国内)
(10月撮影:国内)
シナマンサク
支那満作 マンサク科 Hamamelis mollis
性状:
落葉低木
原産地:
中国
特徴など:
早春に咲く花木のひとつ。マンサクよりも花が大きく色も濃い。品種もあり、花色の赤いものもある。(写真:国内)
(12月撮影:国内)
(12月撮影:国内)
(12月撮影:国内)
(12月撮影:国内)
(12月撮影:国内)
(1月撮影:国内)
(1月撮影:国内)
(1月撮影:国内)
(1月撮影:国内)
(1月撮影:国内)
(1月撮影:国内)
(3月撮影:国内)
(1月撮影:国内)
花が終わって実ができ始めている
根元からひこばえがずいぶんと出ている。(1月撮影:国内)
TOPへ
マンサク科